ePrivacy and GPDR Cookie Consent by TermsFeed Generator
  • Dražba byla ukončena udělením příklepu pro vydražitele 95021002, nejvyšší podání 228.000 CZK

Pozemek Sedlec u Mšena, podíly 1/2 na pozemcích Truskavna a Kokořín

ID:
95021
Číslo jednací:
95021
Stav:
Ukončená
Dražebník
Dražbyprost s.r.o.
Zahájení dražby
2021-12-08 14:30:00
Ukončení dražby
2021-12-08 15:05:04
Obvyklá cena:
242500
Vyvolávací cena
161.667 CZK
Minimální příhoz:
5.000 CZK
Dražební jistota
45.000 CZK
Předmět dražby
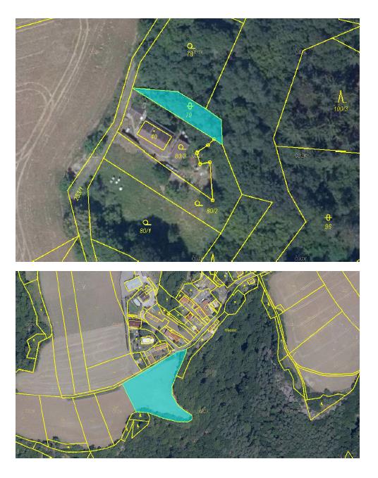
- pozemek parc.č. 524/2- orná půda (6281 m2) zapsáno v katastru nemovitostí u Katastrálního úřadu pro Středočeský kraj, Katastrální pracoviště Mělník, na listu vlastnictví č. 39 pro katastrální území Sedlec u Mšena - podíl o velikosti ½ na pozemku parc.č. 79- ostatní plocha (187 m2) zapsáno v katastru nemovitostí u Katastrálního úřadu pro Středočeský kraj, Katastrální pracoviště Mělník, na listu vlastnictví č. 51 pro katastrální území Truskavna -podíl o velikosti ½ na pozemku parc.č. 819- lesní pozemek (1403 m2) a na pozemku parc.č. 823- lesní pozemek (259 m2) vše zapsáno v katastru nemovitostí u Katastrálního úřadu pro Středočeský kraj, Katastrální pracoviště Mělník, na listu vlastnictví č. 241 pro katastrální území Kokořín
Číst více

Popis

Pozemek č. 524/2 slouží k zemědělským účelům. Jedná se o aktivně využívanou ornou půdu o rozloze 6.281 m2. Územní plán stanoví, že plocha pozemku je regulována jako - plochy smíšené nezastavěného území. Na pozemku se nenacházejí trvalé porosty, je bez oplocení. Pozemek je mírně svažitý. K pozemku je bezproblémový přístup po zpevněné obecní cestě. Je bez staveb. Pozemek je situovaný v části obce, která je stavebně nesrostlá se sídelní částí obce. Pozemek p.č. 79 v k.ú. Truskavna se nachází v nezastavěném území. V KN je veden jako - ostatní plocha - neplodná půda. Na pozemku se nachází nelesní porost. Pozemek je o rozloze 187 m2. Plocha pozemku je dle územního plánu regulovaná jako plochy smíšené nezastavěného území. Na pozemku se nachází porost jasanu různého věku, s pokrytím cca 50 % pozemku, dále je pozemek plně pokryt buřinou a ostružiním, není oplocený. Pozemek je svažitý. Přístup je prakticky přes soukromý pozemek cizího subjektu - věcné břemeno ve prospěch majitele oceňovaného objektu není zřízeno, neboť s veřejnou cestou pozemek sousedí pouze v jednom bodě. Pozemek je bez staveb. Pozemky v k.ú. Kokořín jsou zalesněné, o celkové rozloze 1662 m2. Pozemky tvoří celek. Územní plán stanoví, že plocha pozemků je regulována jako - plochy přírodní. Na všech pozemcích se nachází obdobný rozptýlený smíšený listnatý porost habru, místy břízy, akátu, osiky. Porost je různého věku, s pokrytím cca 70 % pozemků. Pozemky jsou ve většině svažité. Přístup přes soukromý pozemek cizího subjektu - věcné břemeno ve prospěch majitele oceňovaného objektu není zřízeno. Pozemky jsou bez staveb. Jedná se o lokalitu II. zóny CHKO Kokořínsko – Máchův kraj.
Číst více

Historie podání

  • 08.12.2021 14:55:35.007 95021002 přihodil na 228.000 CZK
  • 08.12.2021 14:46:56.246 95021003 přihodil na 222.222 CZK
  • 08.12.2021 14:46:28.174 95021002 přihodil na 167.000 CZK
  • 08.12.2021 14:45:28.213 95021003 přihodil na 162.000 CZK

Přihlášení do dražby

Poptat

Doporučit aukci

Přihlásit se